조황관리HOME / 조황관리 / 상세정보

제목 : 12일 우럭 굿조황입니다
등록일 : 2026-04-12




1000015728.jpg


1000015727.jpg


1000015726.jpg


1000015708.jpg


1000015709.jpg


1000015725.jpg


1000015722.jpg


1000015723.jpg


1000015707.jpg


1000015724.jpg


1000015719.jpg


1000015706.jpg


1000015718.jpg


1000015716.jpg


1000015704.jpg


1000015717.jpg


1000015705.jpg


1000015711.jpg



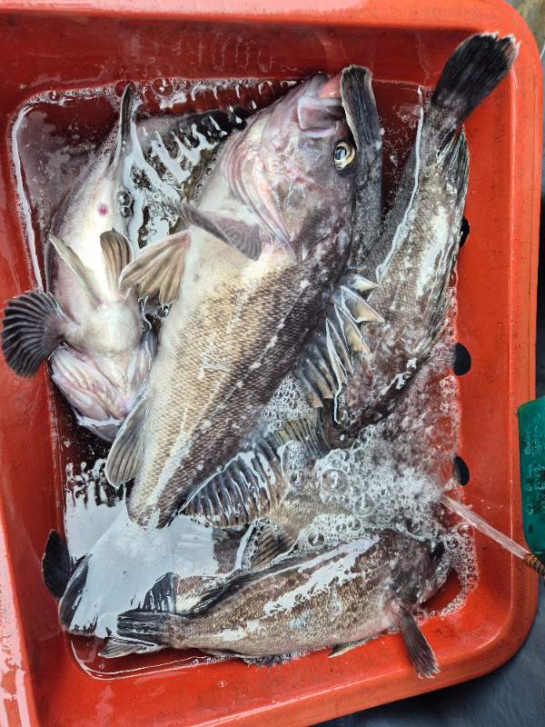
​오늘은  조촐하게 4분모시고 내만권 우럭출조 다녀왓습니다 
종일내만권  똥포인트 공략하기로 마음먹고  
가까운곳 에서 시작햇는데 때마침 물돌이 타임이라
물않가서 고전하다가   물이 살짝 가니까 입질 시작하더니
물 잘갈때는  여기저기 쌍걸이에
연속 전원힛트도  다반사로  나와주니 
일찌감치 기본조황  해놓고 
굵은 녀석잡으러 이동~~
물정 맞으니 4짜급들  여기저기 나와줘서
좋게 마무리하고 입항했네요 
개인당 우럭15ㅡ25수정도에 광어 노래미는 덤 이네요
수고들 많으셧어요 
14일 생새우 외수질 출항합니다 

==== 마검포 뉴패밀리호 예약안내 ====

 

조사님의 멋진 손맛을 위해 오늘도 달립니다!


■ 휴대전화 : 010-4345-0004 

■ 실시간 예약 : http://cjh.sunsang24.com 

Top